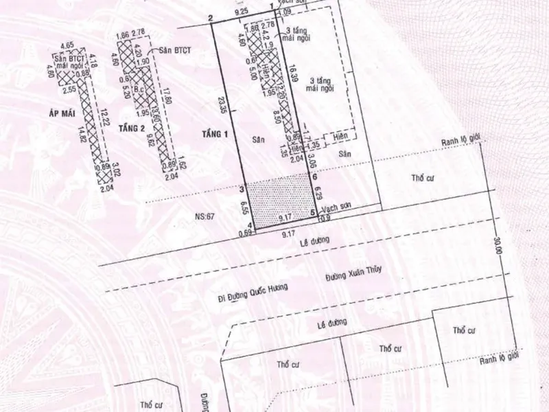
Bán đất mặt tiền 69 đường Xuân Thủy Thảo Điền Quận 2. Đất nằm mặt tiền đường Xuân Thủy, con đường đẹp kinh doanh buôn bán tốt nhất tại Thảo Điền với nhiều nhà hàng, siêu thị, ngân hàng, cafe, khu vui chơi, trung tâm mua sắm dành cho nhà giàu Thảo Điền và cộng đồng người nước ngoài.
Đất mặt tiền Xuân Thủy Thảo Điền có diện tích 9.15x30 = 275.2m2 vuông văn thổ cư xây dựng ngay, thích hợp làm văn phòng, khách sạn, nhà hàng, căn hộ dịch vụ cho thuê.
Đường Xuân Thủy vị trí hiếm có tại Thảo Điền nhanh tay sở hữu bất động sản đắc địa bậc nhất tại khu nhà Giàu Thảo Điền Quận 2.
Đất mặt tiền 69 Xuân Thủy Thảo Điền bán giá chỉ 64 tỷ.
Chúng tôi chuyên ký gửi - mua bán nhà
Hotline Mr Tuân 0901855999 ( Zalo - Viber - Whatsapp)
Email: nguyentuan6868@gmail.com
	
 
                         
                         
                         
                         
 
                    
                            

 
                                     
                                     
                                     
                                     
                                     
                                     
                                     
                                     
                                    
Xem thêm